Обяви За нас Контакти
Продава ПАРЦЕЛ
град София, Люлин 1
ул. Околовръстен път
290 000 €
567 190.70 лв.

(58 €, 113.44 лв./m2)
Не се начислява ДДС
История на цената
Коригирана в 22:50 на 6 февруари, 2026 год.
Обявата е посетена 802 пъти.
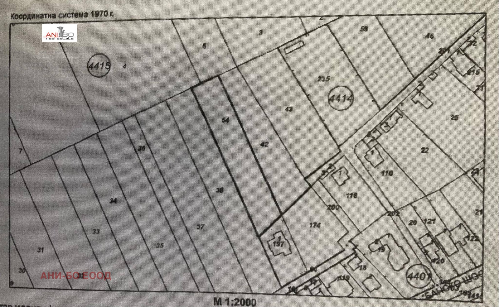
Площ:
5014 m2
Регулация:
НЕ
Ток:
ДА
Вода:
ДА

Описание на имота:


Два поземлени имота с обща граница попадащи в квартал с хубави къщи в началото на Банско шосе', срещу институт Пушкаров. За малоетажно жилищно строителство, устройствена зона Жм. Параметри на застрояване: Плътност 40% Кинт 1,3 КК 10 м. Достъпа до имотите е по обходен второстепенен път от 'Банско шосе' . Частта от квартала по протежение на 'Банско шосе' след бул.' Европа' посока гр. Банкя/стария път за гр Банкя / е застрена без регулация . Необходимо е утвърждаване на застройка, на база мотивирано предложение и изваждане от земеделския регистър.
Инфраструктура водопровод и електропреносна мрежа по Банско шосе /и в съседния имот/.
Лице за контакт инж Нели Маринова 0899606247
За контакт:
0899606247
Брокер:
инж.Нели Маринова
0899606247
Още оферти от брокера: Продава | Дава под наем | Купува | Наема
Агенция:
АНИ-БО ЕООД
0876148808
АНИ-БО ЕООД logo
Медал за прослужено време
В imot.bg от 2006 г.
anibo.imot.bg
Адрес:
област София, гр. София, ул. Ген. Стефан Тошев 1
ИЗПРАТИ ЗАПИТВАНЕ
ИЗПРАТИ ЗАПИТВАНЕТО

Продава ПАРЦЕЛ
град София, Люлин 1
ул. Околовръстен път
Обява: 1r172768776973698

290 000 €
567 190.70 лв.
История на цената
(58 €, 113.44 лв./m2)

Не се начислява ДДС
ЗАПАЗИ ОБЯВАТА

Местоположение: град София, Люлин 1, ул. Околовръстен път

Допълнителни данни за имотите в района и сравнение с други райони

Покажи

Период

и 2 месеца

* Средните цени са определени чрез медианна стойност